症例・・・M・ダックス 1歳5か月齢 オス ミュウ
主訴・・・昨日の朝から食欲、元気なし
水を飲んでは吐いている
血液検査・・・ HCT 69・4%↗ 白血球数 29400↗ GPT123↗ BUN39↗ 他は正常範囲
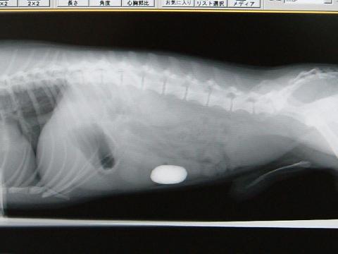
レントゲン検査・・・腸内に卵型の石と思われる異物が確認された

レントゲン写真の位置から小腸内に閉塞している異物(石?)が認められました。血液検査は頻回の嘔吐による脱水と、消化管内の炎症を疑わせる所見でした。
飼い主のSさんに説明し、早急に開腹による異物除去をすることにしました。

開腹所見: 胃から結腸にわたり消化管を精査しました。回腸に異物が見つかりました。この異物が通過してきた近位の回腸は13cmにわたり強い炎症が見られました。

電気メスを使用し、腸を切開します。

異物はやはり卵型の石でした。

小腸は吸収性縫合糸で切開部を縫合し、腹腔内を洗浄し、型通り閉腹しました。

石は30㎜×25㎜×12㎜で、比較的表面が滑らかでした。

術後は、脱水や腸の強い炎症が見られたこともあり、2日間は静脈点滴を継続しました。
3日目から、食事を欲しがるようになり、その後は順調に回復しました。
このように、異物を誤食してしまう犬は一般的に見られます。
また、誤食は繰り返されることが多いので、飼い主は十分に注意する必要があります。
ミュウちゃんの1か月後の検診では血液検査で異常値を示した数値も正常に戻り、完治しました。

この記事へのコメント